330 N Babcock ST Melbourne, FL 32935

UPDATED:
Key Details
Property Type Vacant Land
Sub Type Unimproved Land
Listing Status Active
Purchase Type For Sale
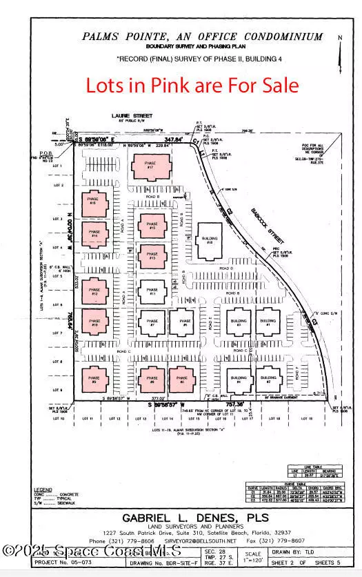
Subdivision Palms Pointe Office Park Condo Ph Iii Iv V
MLS Listing ID 1038299
HOA Fees $80/mo
HOA Y/N Yes
Tax Year 2024
Lot Size 0.310 Acres
Acres 0.31
Lot Dimensions 118 x 118 Various sized lots available
Property Sub-Type Unimproved Land
Source Space Coast MLS (Space Coast Association of REALTORS®)
Property Description
There are a total of 10 lots with 9 lots designed for 5041 s.f. buildings and one of approx. 7500 s.f. Asking price is for 1 lot for 5041 sf. blding. All avail.
Location
State FL
County Brevard
Area 330 - Melbourne - Central
Direction From the interesection of Babcock Street and US 1 go south on Babcock to Laurie Street and turn right on Laurie. The Subject project is on the south side of Laurie Street (Multiple Lots).
Exterior
Exterior Feature ExteriorFeatures
Utilities Available Cable Available, Electricity Connected, Sewer Connected, Water Connected
Amenities Available Management - Full Time, Management - On Site
View City
Present Use Commercial,Office,Unimproved
Street Surface Asphalt
Road Frontage Private Road
Garage No
Building
Lot Description Cleared
Sewer Public Sewer
Water Public
Schools
Elementary Schools Harbor City
High Schools Melbourne
Others
HOA Name Palms Pointe Office Condo
HOA Fee Include Insurance,Maintenance Grounds,Maintenance Structure,Sewer,Trash,Water
Senior Community No
Tax ID 27-37-28-00-00002.I-00xa.00
Acceptable Financing Cash, Conventional, Owner May Carry
Listing Terms Cash, Conventional, Owner May Carry
Special Listing Condition Standard
Virtual Tour https://www.propertypanorama.com/instaview/spc/1038299

GET MORE INFORMATION




